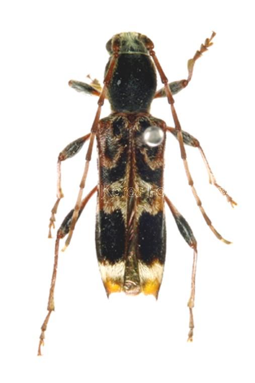
흰테범하늘소

출처 : 국립수목원 어린이 생물도감 API 를 사용 중 입니다.
"뾰죽범하늘소속" ( 0 건 / 총 0 건 )

흰테범하늘소 / Aglaophis colobotheoides Bates, 1884

  곤충

  뾰죽범하늘소속 /

  하늘소과 / Cerambycidae

이마는 약간 볼록하거나 평평한 모양이고, 미세한 점무늬들이 흩어져 있으며 흰 털들은 등을 향해 있다. 정수리는 움푹 들어가 있으며, 누워있는 흰 털들은 정수리의 안쪽과 앞쪽을 향해 있다. 더듬이는 딱지날개의 3/4정도로 긴 편이다. 더듬이 첫 번째 마디는 길쭉하고 두꺼우며 네 번째 마디와 길이가 같다. 앞가슴등판의 옆면은 둥글고 뒤로 갈수록 좁아진다.
딱지날개는 길쭉하고 양쪽 가장자리는 평행하다. 어깨의 안쪽에는 파인 부분이 있고, 이 부분은 비스듬히 날개 봉합선을 향해 있다. 딱지날개의 안쪽 끝은 둥글고, 바깥쪽에는 작고 뾰족한 가시 모양의 돌기가 있다.
번데기의 이마방패에는 세로로 홈이 나 있고, 더듬이 사이는 가로로 볼록하다. 앞가슴등판은 길쭉하고 옆면은 둥글다. 가운데가슴등판은 가로로 파인 부분이 있다. 배는 네 번째 마디에서 가장 굵다. 또한 일곱 번째 등판의 뒤쪽 가장자리에는 큰 돌기가 4~5개 나 있다.
애벌레의 머리는 양쪽이 평행하다. 더듬이는 가늘고 긴 편이다. 이마방패는 사다리꼴이고, 시작되는 부분이 가장 넓다. 윗입술은 가로로 넓으며 연한 색을 띠지만, 개체에 따라 입술이 시작되는 부분이 갈색을 띠는 것들도 있다. 앞가슴등판은 옆으로 경사가 져 있으며, 앞쪽 1/3 부분에 노란 점 한 쌍이 모여 있다. 가슴다리는 발달되어 있다. 배의 등면에 있는 보행돌기는 가죽같은 재질이며, 중간에 깊게 난 세로 홈으로 나뉘어진다.
알은 길쭉하고 양 끝이 둥글다.
활엽수림에 서식한다. 주로 나무 위에서 볼 수 있으며, 다양한 꽃을 찾아오기도 한다. 애벌레는 먹이 식물 안에서 세로로 굴을 만든다. 애벌레의 모습으로 겨울을 난다.